SMU anthropology Ph.D. student Katie Cross harnessed geographic information systems alongside historical maps, aerial images, U.S. Census and city directory data to create maps that amplify and bring awareness to Tenth Street’s rich history.
If Tenth Street Could Talk
SMU researcher uses GIS mapping to document hidden history of Dallas’ once-thriving Oak Cliff Freedman’s Town
When SMU archaeologist Katie Cross walks down Cliff Street in Dallas’ Tenth Street Historic District, she doesn’t see the overgrown lots, boarded up houses and crumbling sidewalks. Instead, she sees what was once there, a thriving neighborhood founded in 1888 by formerly enslaved families.
“In 1922, there was a hospital here,” Cross says, pointing to a vacant lot. “And Dr. William Hames lived next door.”
In its heyday, the Oak Cliff Freedman’s Town, two miles south of downtown Dallas and east of I-35, provided a safe haven for African Americans when Jim Crow segregation and anti-Black violence made it unsafe to live in other parts of the city. A school, churches, grocery stores, cafes, funeral home, movie theater and hundreds of family homes dotted the area. By the 1950s, the community grew to nearly 2,000 residents, some of whom had thrived there for more than 50 years.
Today, the Tenth Street Historic District is the largest, most intact Freedman’s Town in the nation, with both local and national historic designations. Despite these recognitions, the district’s future remains uncertain. The National Trust for Historic Preservation listed the 69-acre district as one of America’s most endangered places three times, most recently in 2019.
Historically, the community has faced multiple threats. The Home Owners’ Loan Corporation redlined Tenth Street in 1937. A Jim Crow-era practice, redlining discouraged lenders from providing loans for home repairs or purchases in Black and brown neighborhoods. Since then, disinvestment, city-ordered demolitions, fires and potential gentrification with the development of the Southern Gateway Deck Park have continued to threaten the neighborhood.
In the meantime, volunteers are racing to capture memories from residents and descendants.
“Long-time Tenth-Street residents remember buying candy at Simpson’s Corner Store after attending Greater El Bethel Church,” says Tameshia Rudd-Ridge, one of the founders of kinkofa – a technology company that provides tools and resources for Black families to document, share and preserve their stories.
Rudd-Ridge, kinkofa co-founder Jourdan Brunson and genealogist Dolores Rodgers are documenting oral histories, digitizing family photos and conducting genealogy research to build the Tenth Street digital museum. Remembering Black Dallas, the Dallas Public Library and Tenth Street Residential Association are partners on the project, funded by a Library of Congress Community Collections Grant.
In 1910, Tenth Street resident George Boswell posed for a photo with his daughter, Zelma in his lap. Standing from left to right are his other children, Ruby, Alger and Audrey. George Boswell is the son of Tenth Street founder, Anthony Boswell. Courtesy of Alice Boswell Love.
The two-story, boarded up brick building that housed Simpson’s Corner Store is the last commercial building standing in a community that at its peak was home to as many as 40 businesses. Greater El Bethel Missionary Baptist Church still houses a congregation, but it’s the only church left of eight that once served Tenth Street neighbors. A photo of the congregation taken in the 1950s shows members in their Sunday best lined up in front of the church.
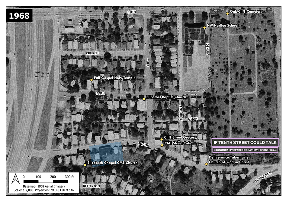
Here's where SMU Ph.D. student Katie Cross comes in. She collaborated with kinkofa to develop maps that illustrate the neighborhood’s transformation over time. By harnessing geographic information systems (GIS) alongside historical maps, aerial images, U.S. Census and city directory data, their goal is to amplify and bring awareness to Tenth Street’s rich history.

SMU anthropology Ph.D. student Katie Cross and kinkofa co-founders Jourdan Brunson and Tameishia Rudd-Ridge are creating a digital museum that tells the story of the Tenth Street community. Longtime residents remember buying candy at Simpson’s Corner Store, once housed in the boarded up building they face, the only remaining commercial structure in the neighborhood. SMU photo by Guy Rogers III
“Katie’s research documents the anecdotes we’ve been told by former residents and fills in gaps of information,” says Beverly Davis, vice president of Remembering Black Dallas.
Cross' mapping also reveals the destruction and disruption caused by local and federal infrastructure projects in the 1940s-1950s. The city constructed Clarendon Avenue through Tenth Street to reroute trucks away from west Oak Cliff boulevards to downtown Dallas. Later, the community faced further disruption when I-35 cut through the west side of the neighborhood, resulting in the demolition of more than 100 homes and the business district.
Tenth Street tells a story of not only resistance, but everyday persistence and survival.
Katie Cross
On Juneteenth this year, long silenced Tenth Street voices will be amplified at a neighborhood celebration. Visitors will have the opportunity to experience the neighborhood June 15 on the Ukunika Bus Tour: Celebrating Juneteenth, led by Remembering Black Dallas. Cross, Rudd-Ridge and Brunson will serve as tour guides.
“Tenth Street tells a story of not only resistance, but everyday persistence and survival,” Cross says. “The maps, digital museum and tour will help support the residents’ and descendants’ efforts to define their community and imagine their future on their own terms,” she says.
“This place matters. Its history needs to be preserved,” she says.
This place matters. Its history needs to be preserved
Katie Cross